Мы используем куки-файлы. Соглашение об использовании
Аукцион

Сдается коммерческая земля, 20 сот.

Площадь участка20 сот.
КатегорияУчасток поселений
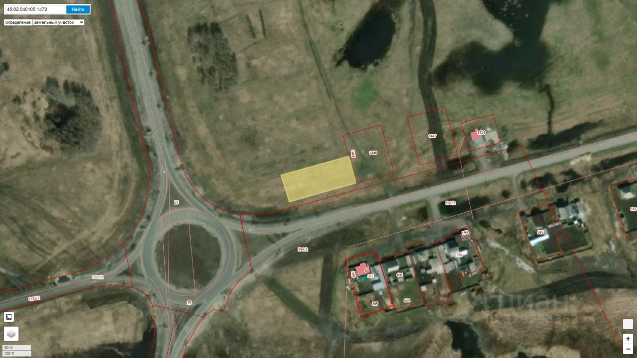
Данные получены с сайта ГИС Торги. из категории земель "земли населенных пунктов", с видом разрешенного использования "объекты дорожного сервиса", площадью 2000 кв. м, кадастровый номер 45:02:040105:1472, расположенного по адресу: Российская Федерация, Курганская область, муниципальный округ Белозерский, с. Белозерское, ул. Ленина, з/у 108
АукционОбъект реализуется посредством электронных торгов. Конечную информацию об оплате, дополнительных платежах и условия заключения договора смотрите в документах извещения к лоту, на сайте электронной торговой площадки.
lock

Войдите или зарегистрируйтесь
для просмотра информации

Просматривайте условия сделки и всю информацию об объекте
Сохраняйте фильтры в поиске и не вводите заново
Доступ к избранному с любого устройства
Неограниченное добавление в избранное
  • Инфраструктура
  • Похожие рядом
Помощь надёжных риелторов
Риелтор партнёр Циан поможет купить или продать любую недвижимость
Управляющая компанияID 128914650
  • 1 год 1 месяц на Циане
  • 10321 объявление
  • Начальная цена, аукцион
    66 500 ₽/мес.
    889 $/мес.
    757 /мес.
    Цена за сотку
    39 900 ₽ в год
    Налог
    УСН
    Комиссия
    нет
    Коммунальные платежи
    не включены
    Эксплуатационные расходы
    не включены
    Управляющая компанияID 128914650